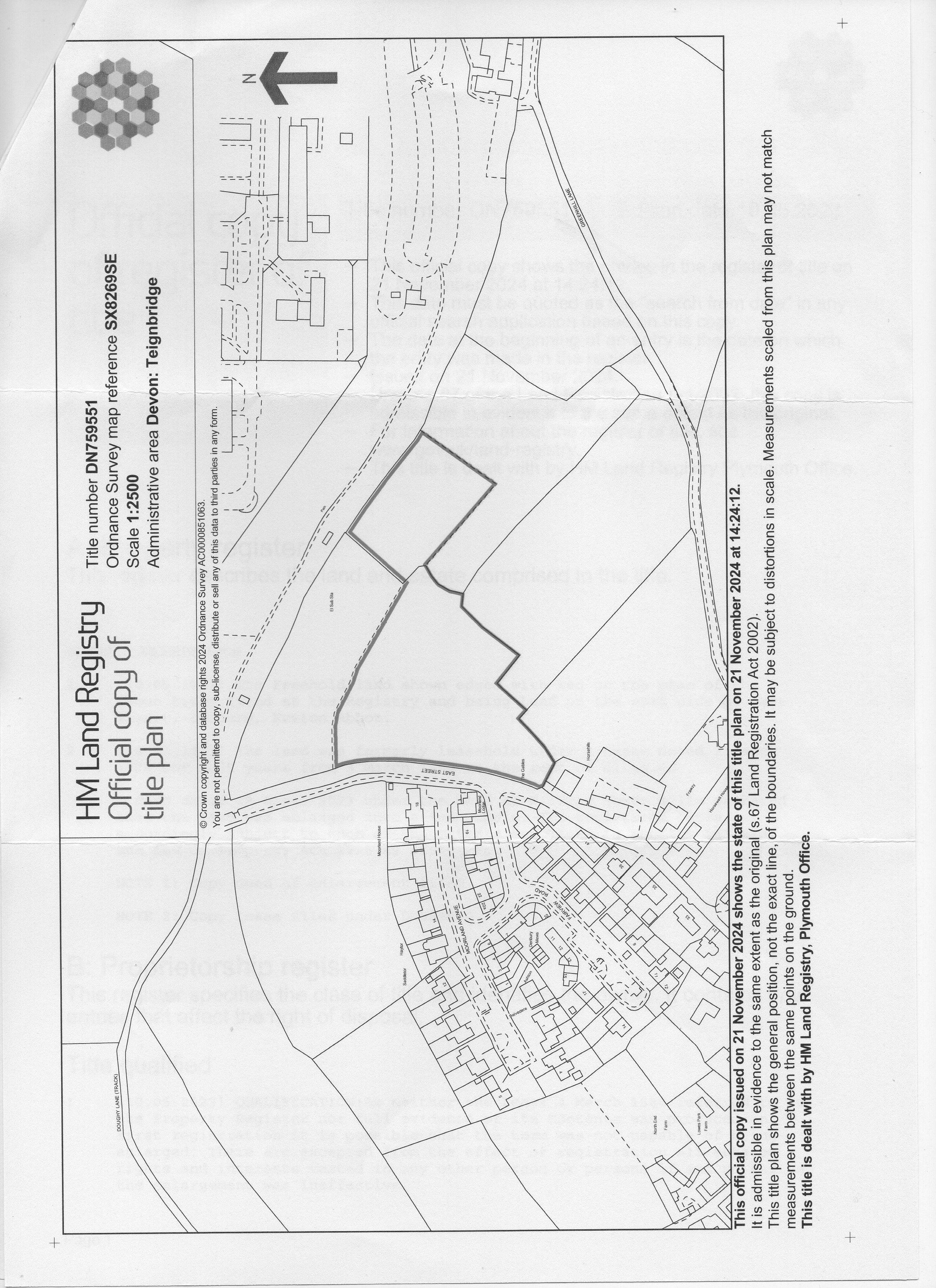
We are seeking expressions of interest on this level parcel of land (circa 1.32 ha) adjacent to the existing settlement of Denbury.
Denbury is a charming village with a primary school and village inn and is a short drive of Dartmoor, the A38 and Newton Abbot with fast and frequent trains into central London
There is support from the local authority to see a small housing development on the site with between 10-20 houses being mooted.
For further information and to register your interest please contact Adam Hesse on 07885 811115 or adam@astonmead.land
- Draft allocation
- Popular village
- Possible self/custom build option
- Close to road/rail network












